2010 Yazoo City tornado
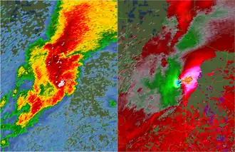
Clockwise from top: The tornado taken near Holly Bluff after crossing the Mississippi River. The town sign for Yazoo City, Mississippi, along with the ruins of a large brick building. Doppler radar imagery of the tornado near peak intensity with a debris ball evident on reflectivity. | |
| Meteorological history | |
|---|---|
| Formed | April 24, 2010, 10:09 a.m. CDT |
| Dissipated | April 24, 2010, 12:53 p.m. CDT (UTC–05:00) |
| Duration | 2 hours, 44 minutes |
| EF4 tornado | |
| on the Enhanced Fujita scale | |
| Highest winds | 170 mph (270 km/h) |
| Overall effects | |
| Fatalities | 10 |
| Injuries | 146 |
| Damage | $364 million (2010 USD) |
| Areas affected | Madison Parish, Warren County, Sharkey County, Yazoo County (specifically Yazoo City), Holmes County, Attala County, Choctaw County, Oktibbeha County |
Part of the Tornado outbreak of April 22-25, 2010 and Tornadoes of 2010 | |
During the morning hours of April 24, 2010, a massive and long tracked rainwrapped tornado struck the southern side of Yazoo City, Ebenezer, Durant, and Hesterville in Mississippi, resulting in 10 fatalities and injuring a further 146 people during its 149 miles path. The tornado was the strongest and deadliest of the tornado outbreak of April 22–25, 2010, and the deadliest tornado of the year.
The intense supercell produced the tornado a few miles east of Tallulah and almost immediately intensified to EF3 strength, maintaining that intensity before crossing the Mississippi River. The tornado briefly weakened before strengthening back to EF3 intensity. The tornado intensified further to low-end EF4 south Yazoo City. Severe homes and businesses were demolished and heavy deforestation occurred. The tornado soon weakened to high-end EF3 intensity and maintained that strength before restrengthening to low-end EF4 intensity few miles southwest of Durant. Following this period of restrengthening, the tornado weakened, fluctuating between EF1 and EF2 strength before strengthening back to high-end EF3 intensity in southern Choctaw County.
The tornado rapidly weakened before lifting north of Sturgis. This long-track and devastating tornado became the fourth longest in Mississippi history, and was, at the time, the largest tornado in the state's history. Alongside that, the tornado was the first violent tornado to happen in Mississippi during April since 1978.[1][2]
Meteorological setup

On April 24, an energetic upper-level storm system strengthened as it moved from Texas to the southern Great Lakes Region. A cold front moved eastward across the middle and lower Mississippi River Valley before heading into the Ohio River Valley. It stretched into the Mid-South portion of the United States. In front of the cold front, a warm, moist, and unstable air mass spread northward from the lower Mississippi River Valley and northern Gulf Coast States into the middle Mississippi and Ohio River Valleys. There were already thunderstorms that had formed during the morning hours, and the conditions would only become more numerous throughout the day. This set the stage for a significant severe weather outbreak with the potential for strong and violent tornadoes, large hail, and damaging winds.[3] As a result, the Storm Prediction Center issued a rare high risk of severe weather for portions of Mississippi, Alabama, Tennessee, and Kentucky, the first such issuance since April 26, 2009.[4] Four "particularly dangerous situation" tornado watches were issued that day for areas of Missouri, Kentucky, Illinois, Arkansas, Louisiana, Mississippi, Tennessee, and Alabama.[5][6][7][8]
Tornado summary
Louisiana
The tornado touched down in Madison Parish, few miles west of Tallulah. The tornado crossed I-20, flipping a tractor trailer and injuring the truck driver. At the same time, the tornado destroyed a couple of high tension truss towers along the interstate. The tornado continued travelling northeast through rural areas. Then the tornado crossed U.S. Route 80 and Willow Bayou Road, quickly intensifying to mid-range EF3 strength. Many homes were heavily damaged, and multiple trees and power lines were snapped.[9]
Crossing Highway 65 and Levee Road, the tornado passes just south of the community of Omega, where a chemical plant was destroyed, a few rail cars were pushed off the track, and a crane was completely crumpled by the tornado along with severe damages to storage tanks, soon the tornado would cross the Mississippi River into Mississippi.[9]

Mississippi
The tornado weakened back down to high-end EF2 intensity entering Warren County. Several framed and mobile homes around the Eagle Lake area sustained intense to heavy damage. Dozens of trees and power poles were snapped as the crossed the lake, briefly entering back into Louisiana before re-entering back into Mississippi, moving into Issaquena County.[10] The tornado maintained high-end EF2 intensity, snapping and uprooting a prolific amount of trees in the Delta National Forest and destroying an abandoned building along U.S. Route 61 south of Valley Park, cutting through the extreme southeastern portion of Sharkey County.[11][12]
The tornado entered Yazoo County, restrengthening once again as it rapidly grew in size, increasingly becoming shrouded in rain. The tornado crossed Highway 3, causing more significant damage to homes and infrastructure near Sataria. Multiple homes suffered major damage, with some either being heavily damaged or destroyed, and intense tree damage also occurred here. Around the same time, an intense tornado debris signature was evident on doppler radar alongside an intense velocity couplet, these signature led to an issuance of a tornado emergency for Yazoo City at 12:11 p.m CDT.[13] The tornado reached a peak width of 3,080 yd (2,820 m) along the intersection of Highway 49 and Highway 16, becoming the largest tornado on record in Mississippi, until the record was beaten by the Bassfield tornado almost ten years later.[14] The tornado reached peak intensity at low-end EF4 strength with windspeeds up to 170 mph (270 km/h). Several homes and businesses were obliterated, dozens of mobile homes were demolished and framed homes in residential areas were either damaged or destroyed, killing four and injuring 53 others, all the fatalities occurring in mobile homes. The tornado crossed into Holmes County.[1]

Entering Holmes County, the tornado weakened down to EF3 intensity and narrowed down slightly to 2,600 yd (2,400 m) in width. The tornado traversed through rural areas of Holmes County, causing more tree damage as more homes are either damaged or destroyed. The tornado then abruptly intensified back to an EF4 intensity. Two brick homes were completely flattened, with nearby homes receiving heavy damage. A mobile home was destroyed, killing a 70-year-old man. The tornado crossed I-55, many vehicles were blown off the highway. The tornado struck the southern side of Durant, weakening back to an EF2 intensity before exiting Holmes County.[15] The tornado then entered Attala County, weakening down to EF1 intensity before restrengthening back to EF2 intensity, numerous trees were snapped and homes suffered significant damage in the rural areas of the county. Entering Choctaw County, the tornado rapidly intensified to a high-end EF3 strength with estimated wind speeds between 155–165 mph (249–266 km/h). A few well-built homes were nearly leveled and a Crossroads Grocery was destroyed. The tornado crossed Pisgah Road, a five people were killed as dozens of mobile homes and conventional foundation homes were destroyed at EF3 strength.[16] Afterwards, the tornado weakened to an EF2 intensity, but still causing heavy tree damage. The tornado traveled a few extra miles through Oktibbeha County as a weakening tornado. The tornado dissipated 5.5 miles (8.9 km) north of Sturgis. In total, it traveled 149 miles (240 km) and had a peak width of 3,080 yd (2,820 m), making it the largest in Mississippi at the time. The tornado was also the fourth-longest tracked on record in Mississippi.[17][18][19][16]
Impacts & aftermath

Overall, the tornado caused $37 million in damage in Louisiana[9] In total, the tornado damage 849 homes, businesses and agriculture and 283 of them were destroyed.[20] The Central Mississippi chapter opened a shelter with supplies as well as emergency response vehicles, other places like L.T. Miller Community Center in Yazoo City, opened up as shelters.[21] Months after the tornado happened, most of the debris has been cleared out and new power lines were installed.[22] Governor Haley Barbour visited parts of Yazoo County that got devastated and told the Associated Press there was "utter obliteration" in parts of the county that got hit.[17]
"The effects of these storms have left many Mississippians with destroyed businesses and without homes,"
— Haley Barbour
See also
- 2020 Bassfield-Soso tornado, a tornado that broke the record as the widest tornado in Mississippi
- 2023 Rolling Fork tornado, a similar tornado that struck thirteen years later
- Tornadoes of 2010
- List of F4 and EF4 tornadoes (2010–2019)
- Tornado outbreak of April 22–25, 2010
References
- ^ a b "EF4 Tornado in Yazoo County". National Centers for Environmental Information. National Oceanic and Atmospheric Administration. Archived from the original on September 23, 2024. Retrieved September 22, 2024.
- ^ "EF4 tornado on Apr. 24, 2010 10:53 AM CDT". The Clarion-Ledger. Gannett. Retrieved September 22, 2024.
- ^ Craig, Kevin (April 24, 2010). "Tornadoes Hit The Southern States". FOX 17. WXMI. Archived from the original on July 23, 2011. Retrieved September 22, 2024.
- ^ Hetrick, Michael (April 26, 2010). "Powerful storms bring high winds, damage to East Texas". KLTV. Archived from the original on March 3, 2016. Retrieved September 22, 2024.
- ^ "Severe Tornado Watch 91". NOAA/NWS Storm Prediction Center. National Weather Service. Archived from the original on April 28, 2010. Retrieved September 22, 2024.
- ^ "Tornado Watch 93". NOAA/NWS Storm Prediction Center. National Weather Service. Archived from the original on April 27, 2010. Retrieved September 22, 2024.
- ^ "Tornado Watch 94". NOAA/NWS Storm Prediction Center. National Weather Service. Archived from the original on April 28, 2010. Retrieved September 22, 2024.
- ^ "Tornado Watch 96". NOAA/NWS Storm Prediction Center. National Weather Service. Archived from the original on April 28, 2010. Retrieved September 22, 2024.
- ^ a b c "EF3 Tornado in Madison Parish". National Centers for Environmental Information. National Oceanic and Atmospheric Administration. Archived from the original on September 23, 2024. Retrieved September 22, 2024.
- ^ "EF2 Tornado in Warren County". National Centers for Environmental Information. National Oceanic and Atmospheric Administration. Archived from the original on September 23, 2024. Retrieved September 22, 2024.
- ^ "EF2 Tornado in Issaquena County". National Centers for Environmental Information. National Oceanic and Atmospheric Administration. Archived from the original on September 23, 2024. Retrieved September 22, 2024.
- ^ "EF2 Tornado in Sharkey County". National Centers for Environmental Information. National Oceanic and Atmospheric Administration. Archived from the original on September 23, 2024. Retrieved September 22, 2024.
- ^ "2024 [KDMX] DES_MOINES Tornado (TO) Warning (W) Number 45". Iowa Environmental Mesonet. Iowa State University. Archived from the original on September 15, 2024. Retrieved September 22, 2024.
- ^ @NWSJacksonMS (April 16, 2020). "The Bassfield EF4 tornado now stands as the widest tornado on record in the state of Mississippi" (Tweet). Archived from the original on September 22, 2024. Retrieved September 22, 2024 – via Twitter.
- ^ "EF2 Tornado in Attala County". National Centers for Environmental Information. National Oceanic and Atmospheric Administration. Archived from the original on September 23, 2024. Retrieved September 22, 2024.
- ^ a b "EF3 Tornado in Choctaw County". National Centers for Environmental Information. National Oceanic and Atmospheric Administration. Archived from the original on September 23, 2024. Retrieved September 22, 2024.
- ^ a b Mohr, Holbrook (April 25, 2010). "10 die in Mississippi as tornadoes rip state". Northwest Arkansas Democrat-Gazette. Archived from the original on September 23, 2024. Retrieved September 22, 2024.
- ^ "EF3 Tornado in Oktibbeha County". National Centers for Environmental Information. National Oceanic and Atmospheric Administration. Archived from the original on September 23, 2024. Retrieved September 22, 2024.
- ^ "Violent and Deadly Long Track Tornado Plows From Tallulah Louisiana Across Yazoo City to Northeast Mississippi". National Weather Service. National Oceanic and Atmospheric Administration. April 24, 2010. Archived from the original on September 23, 2024. Retrieved September 22, 2024.
- ^ "Pre-Mitigation Assessment Team Report: Mississippi Tornado Outbreak, April 23rd–24th" (PDF). FEMA.gov. July 2010. Archived (PDF) from the original on July 23, 2024. Retrieved September 22, 2024.
- ^ Harman, Wendy (April 24, 2010). "Disaster Alert: Tornado in Yazoo City". Red Cross Chat. American Red Cross. Archived from the original on September 23, 2024. Retrieved September 22, 2024.
- ^ Pettus, Emily Wagster (July 25, 2010). "Yazoo City recovering from April tornado". The Greenwood Commonwealth. Tim Kalich. Archived from the original on September 23, 2024. Retrieved September 22, 2024.

