Midlothian Country Club
![]() The first clubhouse (1898, demolished) - Albert Granger, architect | |
| Club information | |
|---|---|
| Location | Midlothian, Illinois, USA |
| Established | 1898 |
| Type | Private |
| Total holes | 18 |
| Website | https://midlothiancc.org/ |
| Designed by | Herbert J. Tweedie |
| Par | 71 |
| Length | 6928 |
| Course rating | 74.1 / 136 |
| Course record | (64) Tournament Course Record (1973 - Leonard Thompson) |
Midlothian Country Club is a historic golf course in Midlothian, Illinois. It is located 18 miles (29 km) southwest of Chicago and built on 208 acres (84 ha) of land. It was designed by Herbert J. Tweedie[1] and opened in 1898. In 2003 the course was updated by the Ken Killian, Richard P. Nugent and architect Bob Lohmann of Lohmann Golf Designs.[2] In 2021-2022 the course was renovated by architect, Raymond Hearn to enhance 82 bunkers, lengthen tee boxes and many other enhancements which returned Midlothian Country Club to its championship caliber.
History
The Golf Phase In the United States
The first golf club to open in the Chicago area was actually open for business a year before the World's Fair. On July 18, 1893, a charter was granted to the Chicago Golf Club, now located in Wheaton, Illinois. The Chicago Golf Club would remain under the leadership of Charles B. Macdonald until the Chicago Golf Club moved from its Belmont location to its current Wheaton location.
Although golf courses have sprouted up in the United States on rare occasion since the nation's birth, it wasn't until the game of golf was put on display for the world to see at the 1893 World's Columbian Exposition in Chicago that the sport began gathering a strong following of athletes and fans alike.
Plans For A Private Golf Course close to Chicago

In 1898, a group of wealthy industrialists, bankers and merchants decided to construct the Midlothian Country Club in the southwest outskirts of the City of Chicago. The designer for the course was Herbert James Tweedie, who would go on to form the Belmont Golf Club[5] in 1899 and take over the previous location of the Chicago Golf Club.
The property purchased for such a course was farmland and fairly close to the Rexford Crossing whistle stop of the Rock Island Railroad. Although it was not typically a walkable venture to the country club, the club in the early years chose to shuttle its guests from the station via wagon and horse.
The Midlothian Country Club became an 18-hole golf course and is quite unique in that every hole has a name.
Quickly Outgrowing Its Initial Plans
According to the introduction published in the 100 Year Anniversary book published by the Midlothian Country Club, it suggests the initial members did not want their location to become known, or in essence hiding the existence of the country club from individuals who patronize country clubs and other member's only groupings.
Within a matter of a few years after the Midlothian - Blue Island Railroad was built, the Midlothian Country Club gained some measure of positive attention in golf circles around the world.
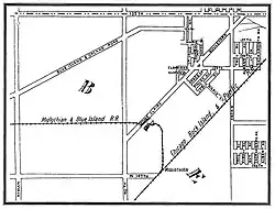
The Midlothian - Blue Island Railroad


When the club opened in 1898, its members were compelled to make the two mile journey from the Rock Island's Rexfords Corners railroad station over dirt roads that would become impassable during and after a rainstorm. To overcome this problem, in 1900 members of the club (who included John G. Shedd, Edward C. Potter, and E.P. Turner[6]) chose to construct a railroad for a passenger train that would eventually travel 2.3 miles (3.7 km) up to fourteen times a day, providing transportation for its members and sometimes the caddies, except during the winter season. These tracks also had sidings which were sometimes used to "park" the private rail cars of members who would then stay the weekend for a golf event at the country club.
Part of the arrangement between the Midlothian - Blue Island Railroad and the Rock Island included the construction of a new train station about a quarter of a mile north of the old Rexford Crossing station, which was named "Midlothian", and the Rexfords Corners station was demolished.
After the village of Midlothian was incorporated in 1927, 147th Street was paved and the spur was no longer needed. Except for the first 670 feet near the Midlothian station which was retained by the Rock Island for use as a team track, the remainder of the line was removed in the fall of 1928, and today no trace of the line remains.
The country club itself never owned any shares of the Midlothian - Blue Island Railroad; rather the stock holders were a group of individuals who were also members of the Midlothian Country Club.
Fox Hunting

In the earlier days of the 20th Century, members of the club and their guests used to gather for fox hunting activities.[7] The hunts were not held on club property, but rather on 1,500 acres of surrounding farmland that the members arranged to use with the blessing of the neighboring farmers. With this event, the club was seen as "rapidly becoming the Onwentsia of the South Side".[8]
The Village of Midlothian Annexes the Midlothian Country Club
This property would remain under the governance of Bremen Township and subsequently Cook County until the annexation process of Bremen Heights into the Village of Midlothian was initiated in the mid to late 1950s and completed in the early 1960s.
Notable Information
1898 Members
John G. Shedd, George R. Thorne, R.H. Donnelly, Albert Spalding, Marshall Field,
Club Events
Western Open 1901 - 1969 - 1973
Western Amateur 1901 - 1917
Western Junior Championship 2023
Pater-Filius Tournament (Father-Son Golf Tournament) 1903 - Present. The longest running father-son tournament in the nation.
Benedict Cup Tournament (Husband-Wife Golf Tournament). The longest running Husband-Wife Golf tournament in the nation.
Club Members/Pros
Tony Holquin - tour player and teaching professional[9]
Brandon Adair - PGA Head Golf Professional 2013–Present
Midlothian Melodies: Mnemonic Maunderings of the Merry Muse
Just as the country club wanted to stay a controlled secret at first as a business strategy, one of the founding members, E. C. Potter composed a book in which select ownership of the book was determined to be that of a narrow list of individuals and no one else as it included the statement "For Private Circulation Only 1900" on one of the first few pages. It does not use the term "confidential" which kept elasticity in relation to copyright laws. The phrase simply prohibited duplication by any other publisher and warned that the book should not be loaned out in a library setting, as example.
Entitled Midlothian melodies: Mnemonic Maunderings of the Merry Muse, it was composed with intent on passages having been read at various events and then compiled into a book form. One "musing" was for the farewell party on September 30, 1899, for the soon to be former President George R. Thorne, one of the key players in the entire development process while others are passages contemplating the intricacies of the game of golf.
Major tournaments

|
|
References
- ^ "ON THE GOLF LINKS -". The North Adams Transcript: 2. April 5, 1898.
- ^ "Midlothian Course Info". chasingmajors.com.
- ^ "NEW GOLF CLUB BORN - South Side Lovers of the Sport Meet and Organize - LINKS AT BLUE ISLAND - Midlothian Country Club's Limit Almost Reached - Will Spend Between $80,000 and $90,000 on Grounds and Buildings". The Daily Inter-Ocean: 4. January 5, 1898.
- ^ "Michigan and 29th - Vesta Accumulator Company will Group Structures to be erected on site of Higinbotham Home". The Economist. January 28, 1919. p. 1235.
- ^ "Downers Grove Park District History". Downers Grove, Illinois Park District. Retrieved June 9, 2014.
- ^ "Railroad for and by Golfers - Members of the Midlothian Country Club Incorporate a Company to Build a Line for Their Own Use". The Chicago Daily Tribune: 4. March 31, 1900.
- ^ Chicago Daily News. "Image Table 2: Illinois Pictures - Governors State University". Governors State University. Retrieved June 9, 2014.
- ^ Ryan, Joseph E.G. (May 29, 1904). "N. Landon Hoyt Leads Golfers - Skokie Crack Makes Best Score in Glenview Tournament, in Which Eighty-Four Players Start. - Zueblin and Thorne in Finals at Midlothian - Results of Events at Homewood, Calumet, Riverside, Edgewater, River Forest, and Other Clubs - Plans for Holiday Play Tomorrow". The Inter Ocean: 15.
- ^ John Coyne (2006). The Caddie Who Knew Ben Hogan. St. Martin's Press. ISBN 9781466806481. Retrieved June 9, 2014.
- ^ "Golf News - Views and Comments". Indianapolis News. Indianapolis, Indiana. January 6, 1916. p. 13.
- ^ "Stymie is abolished by the Western Golf Assn". Pittsburgh Daily Post. Pittsburgh, Pennsylvania. May 21, 1917. p. 6.
- ^ "It's June in June". Chicago Daily Tribune. Chicago, Illinois. June 27, 1931. p. 21. Archived from the original on July 15, 2012. Retrieved December 7, 2010.
